大豆
大豆生产要注意,病虫防控不容易。
刺吸害虫有两种,点蜂缘蝽与蚜虫。
苗期蚜虫传病毒,染病植株叶不同。
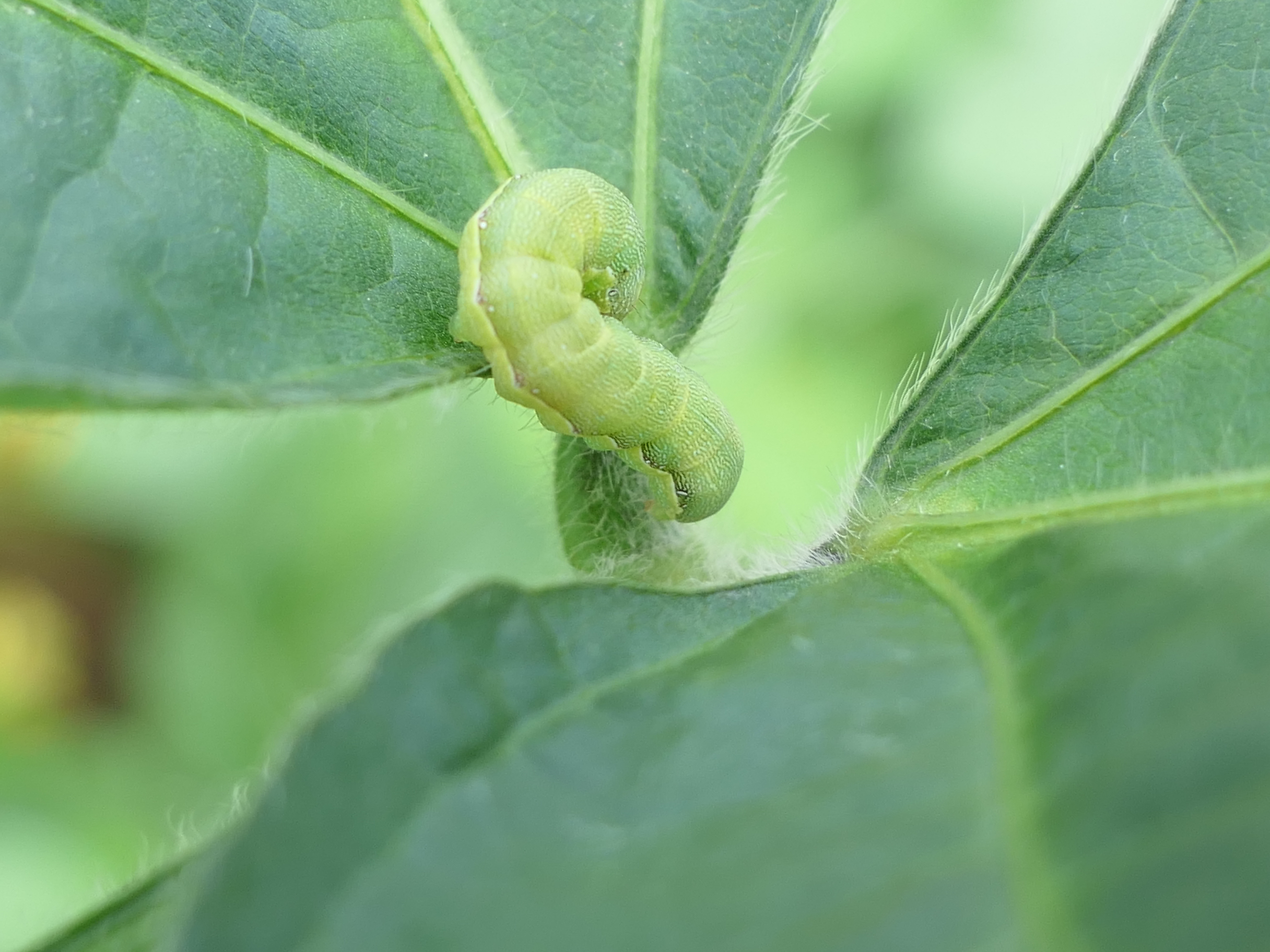
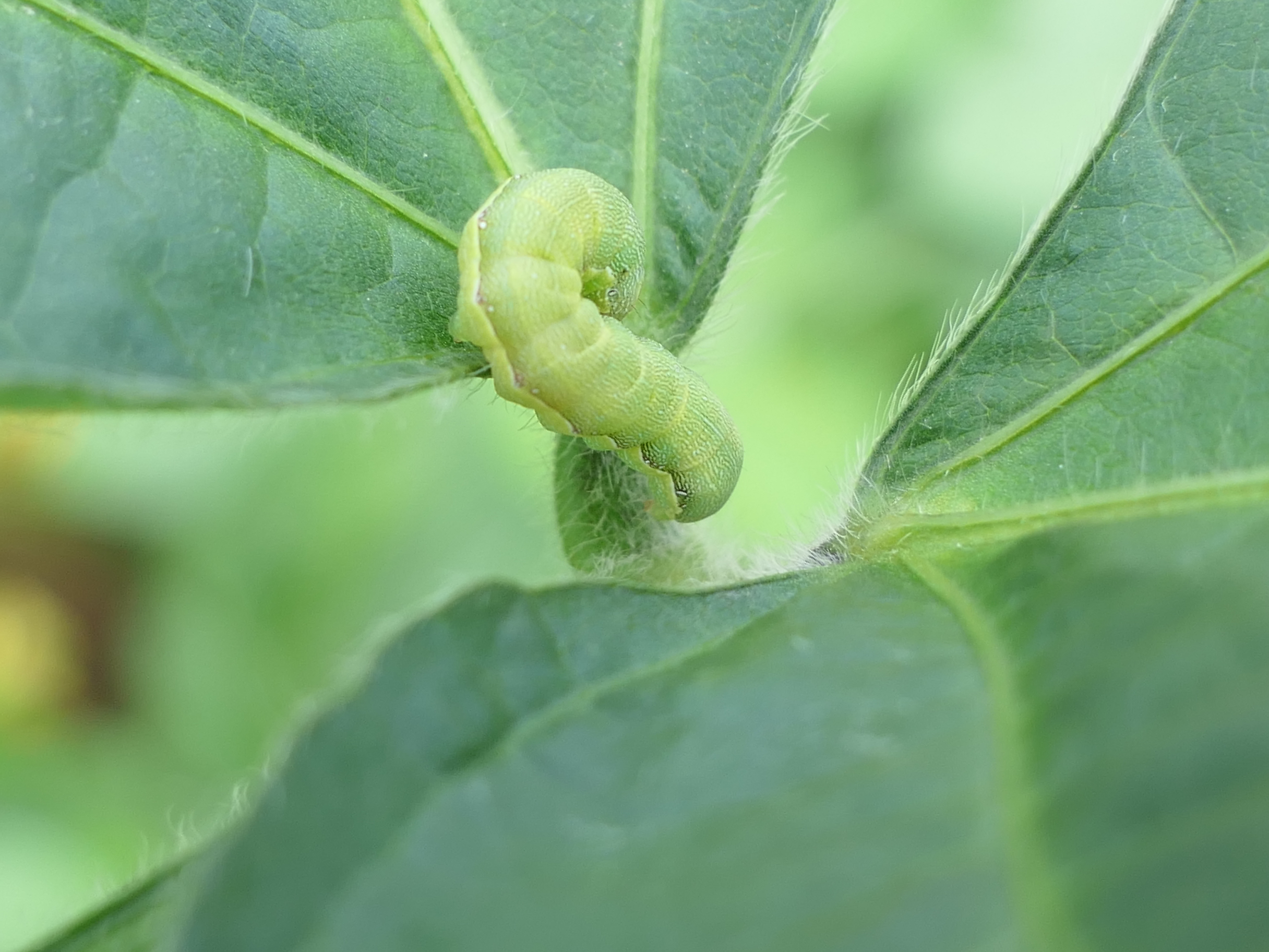
食叶害虫有四种,苗期主防棉铃虫。
后期夜蛾余三种,甜菜斜纹和银纹。
点蜂缘蝽吸豆荚,开花结荚要防它。
叶部病害有两种,病毒细菌先后来。
病毒显在幼苗期,植株矮小花难开。
若是后期细菌染,叶片褐黄发病快。
一田多诱监测早,综合防控效果好。
苗壮叶茂籽粒饱,大豆丰收产量高。

豆蚜

大豆病毒病

棉铃虫

斜纹夜蛾

银纹夜蛾

甜菜夜蛾

点蜂缘蝽

风叶型诱捕器(点蜂缘蝽)

大豆细菌性叶斑病
花生
花生种植防病虫,四虫两病记心中。
两种害虫地下藏,金针蛴螬把根伤。
鳞翅害虫啃叶片,苗期荚期都遭殃。
后期易生两斑病,网斑褐斑有影响。
网斑易呈黑褐色,病斑相连叶枯黄。
褐斑边缘黄棕色,中央凹陷透亮光。
花生病虫及时防,高产丰收有希望。

网斑病

褐斑病

棉铃虫

甜菜夜蛾
小贴士
大豆:目前正值大豆开花结荚期,需重点关注点蜂缘蝽为害。点蜂缘蝽成虫和若虫在大豆开花结实时群集为害,刺吸叶片、嫩梢及豆荚汁液,引起刺吸点叶脉变黑,致使蕾、花凋落,造成大豆“症青”现象;食叶害虫需要重点关注甜菜夜蛾和斜纹夜蛾;病害需关注细菌性叶斑病,大豆生产中后期易发生。
花生:目前花生正值结荚期,生产重点关注两种地下害虫、两种食叶害虫和两种病害。两种地下害虫即金针虫和蛴螬;两种食叶害虫即棉铃虫和甜菜夜蛾,苗期至结荚期的成灾风险一直较高;两种病害即网斑病和褐斑病,中后期易发生。(供稿 北京市农业农村宣传中心)
大豆
大豆生产要注意,病虫防控不容易。
刺吸害虫有两种,点蜂缘蝽与蚜虫。
苗期蚜虫传病毒,染病植株叶不同。
食叶害虫有四种,苗期主防棉铃虫。
后期夜蛾余三种,甜菜斜纹和银纹。
点蜂缘蝽吸豆荚,开花结荚要防它。
叶部病害有两种,病毒细菌先后来。
病毒显在幼苗期,植株矮小花难开。
若是后期细菌染,叶片褐黄发病快。
一田多诱监测早,综合防控效果好。
苗壮叶茂籽粒饱,大豆丰收产量高。

豆蚜

大豆病毒病

棉铃虫

斜纹夜蛾

银纹夜蛾

甜菜夜蛾

点蜂缘蝽

风叶型诱捕器(点蜂缘蝽)

大豆细菌性叶斑病
花生
花生种植防病虫,四虫两病记心中。
两种害虫地下藏,金针蛴螬把根伤。
鳞翅害虫啃叶片,苗期荚期都遭殃。
后期易生两斑病,网斑褐斑有影响。
网斑易呈黑褐色,病斑相连叶枯黄。
褐斑边缘黄棕色,中央凹陷透亮光。
花生病虫及时防,高产丰收有希望。

网斑病

褐斑病

棉铃虫

甜菜夜蛾
小贴士
大豆:目前正值大豆开花结荚期,需重点关注点蜂缘蝽为害。点蜂缘蝽成虫和若虫在大豆开花结实时群集为害,刺吸叶片、嫩梢及豆荚汁液,引起刺吸点叶脉变黑,致使蕾、花凋落,造成大豆“症青”现象;食叶害虫需要重点关注甜菜夜蛾和斜纹夜蛾;病害需关注细菌性叶斑病,大豆生产中后期易发生。
花生:目前花生正值结荚期,生产重点关注两种地下害虫、两种食叶害虫和两种病害。两种地下害虫即金针虫和蛴螬;两种食叶害虫即棉铃虫和甜菜夜蛾,苗期至结荚期的成灾风险一直较高;两种病害即网斑病和褐斑病,中后期易发生。(供稿 北京市农业农村宣传中心)